Tin chuyên ngành
Trang chủ > Tin tức > Tin chuyên ngành > Sử dụng AUV gắn LiDAR lập bản đồ hành lang và giám sát an toàn đường dây truyền tải điện15/04/2021
Lượt xem 556
Kiểm tra định kỳ đường dây tải điện là công việc rất quan trọng để đảm bảo việc cung cấp điện không bị gián đoạn. Các phương pháp kiểm tra truyền thống dựa trên cơ sở liên quan đến các nhóm khảo sát thường rất tốn công sức và thời gian. Phương pháp tính toán khoảng cách giữa võng của dây truyền tải và cây thường dùng đến đến các thiết bị nặng như que đo chiều cao và máy kinh vĩ. Đây là một công việc khó khăn đối với nhân viên kiểm tra trong những vùng sâu hoang dã hoặc vùng có địa hình nguy hiểm.
Gần đây, các nhà cung cấp dịch vụ năng lượng đã sử dụng thiết bị bay không người lái để tiến hành khảo sát và phân tích. Công nghệ UAV tự động được trang bị phần cứng LiDAR đã nổi lên như một phương pháp thay thế hiệu quả để kiểm tra các hành lang năng lượng. Tuy nhiên, có được dữ liệu đám mây điểm chỉ là một phần nhỏ của giải pháp. Để tạo ra thông tin đầu ra yêu cầu phải xử lý và phân tích dữ liệu đám mây điểm. Để xử lý các vùng địa hình lớn dẫn đến hàng trăm gigabyte dữ liệu đám mây điểm. Do đó, điều quan trọng là phải thiết kế một quy trình xử lý trực quan và hiệu quả về thời gian.
Thông qua một số dự án được khảo sát và phân tích, GVI đã thành công trong việc tạo ra quy trình làm việc hiệu quả cho nhiều công ty dịch vụ năng lượng (ESCO). Gần đây, Cục cung cấp điện Qingyuan của tỉnh Quảng Đông, Trung Quốc, đã sử dụng quy trình làm việc của GVI để thực hiện khảo sát đánh giá /quản lý rủi ro đối với hơn 2.500 km đường dây (751 km đường dây 500 kV, 1.824 km đường dây 220 kV và 4.717 cột).
Địa điểm thực hiện khảo sát nằm ở Qingyuan, tỉnh Quảng Đông, Trung Quốc. Việc khảo sát ở đây thường diễn ra vào mùa Xuân, khi các loại cây tiềm ẩn nguy cơ như tre và bạch đàn phát triển nhanh chóng. Tổng cộng sáu đội khảo sát đã được triển khai trong khoảng thời gian hai tháng để hoàn thành cuộc khảo sát trên không, nhanh hơn gấp ba lần so với các phương pháp trên mặt đất. Khi thời tiết cho phép, mỗi đội bay 4 - 5 chuyến dọc hành lang mỗi ngày, chưa kể các chuyến bay sơ bộ để lập kế hoạch nhiệm vụ bay và kiểm tra độ cao cột. Phần cứng được sử dụng bao gồm sáu GVI LiAir Standard 32e, một hệ thống LiDAR gắn trên UAV với độ chính xác ± 2cm và khoảng cách thu nhận hiệu quả lên đến 100m, được gắn vào một UAV DJI M600 Pro có thời gian bay là 20 phút. Để đảm bảo an toàn cho chuyến bay, các đường bay được nâng cao hơn 20m so với cột truyền dẫn và việc thay đổi độ cao là cần thiết khi xét đến độ cao khác nhau của cột. Cũng cần lưu ý rằng hiệu chuẩn GPS “Hình 8”, quỹ đạo bay và tốc độ bay đều có thể thực hiện được trong phần mềm lập kế hoạch bay GVI, LiPlan. Hơn nữa, phần mềm chuyển đổi và thu nhận LiAcquire, cho phép hiển thị và chuyển đổi theo thời gian thực cho dữ liệu LiDAR và POS thô.
Phần mềm khác cũng được sử dụng là LiGeoreference, một phần mềm tham chiếu địa lý độc quyền cho các bộ dữ liệu LiDAR trên không. Với việc kết hợp dữ liệu từ hệ thống định vị quán tính (INS) và GPS để cung cấp thông tin chính xác về vị trí của máy bay và khoảng cách được đo bằng xung laser. Độ chính xác của các tọa độ ba chiều ảnh hưởng lớn đến độ chính xác của dữ liệu tổng thể. Thông qua tham chiếu địa lý, các điểm không chính xác về vị trí có thể được chỉnh sửa (xem Hình 1 & 2).

Hình 1. Ảnh hưởng của việc tạm dừng UAV đối với các phép đo POS
Hình 2. Sau khi được tối ưu hóa bằng LiGeoreference
Các phần của hành lang truyền dẫn điện nằm trên mặt nước là một yếu tố khó xử lý cả trong việc khảo sát địa lý và việc xử lý sau này. Hình 4 cho thấy sự hiệu chỉnh của LiGeoreference đối với hiện tượng "đứt đoạn" trong Hình 3.

Hình 3. Trước khi tối ưu hóa bằng LiGeoreference
Hình 4. Sau khi được tối ưu hóa bằng LiGeoreference
“Sau khi thiết lập đường bay trong hệ thống, hệ thống gắn trên máy bay không người lái có thể tự động nắm bắt thông tin thời gian thực như vị trí đường bay và thảm thực vật để cải thiện đáng kể chất lượng kiểm tra, đồng thời duy trì sự an toàn của nhân viên.” - Wang Linsheng, Giám đốc Cục cung cấp điện Qingyuan.
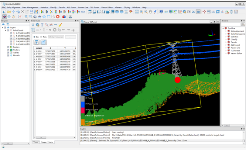
Sau khi khảo sát, dữ liệu đám mây điểm được nhập vào phần mềm xử lý, LiDAR360. Phần mềm có chứa các bộ công cụ để xem và xử lý dữ liệu đám mây điểm một cách hiệu quả và cung cấp các mô-đun cho các ứng dụng cụ thể như mô hình địa hình, lâm nghiệp và trong trường hợp này là phân tích đường dây điện.
Mô-đun Power Line cung cấp các thuật toán để tự động phân loại mặt đất, cột truyền tải, đường dây điện, tòa nhà và cây cối. Có thể mô phỏng ảnh hưởng của các biến động môi trường dọc theo hành lang truyền dẫn điện. Nó cũng có thể phát hiện một loạt các nguy hiểm do người dùng xác định, chẳng hạn như cây cối phát triển quá mức và đổ, sau đó sẽ được đưa vào báo cáo kiểm tra. Qua đó xác định ngưỡng như bảng bên dưới.
|
Nguy cơ |
Khoảng cách ngang (m) |
Khoảng cách dọc (m) |
|
Đất |
- |
11 |
|
Tòa nhà |
5 |
9 |
|
Cây cối |
6 |
6 |
|
Đại lộ |
- |
14 |
|
Đường sắt |
- |
14 |
|
Cáp |
- |
6 |
|
Sông (không đi lại được) |
- |
6.5 |
|
Sông (có thể đi lại) |
- |
9.5 |
|
Đường dây điện |
- |
6 |
Quy trình làm việc để tạo ra các kết quả nói trên trước hết yêu cầu người dùng xác định các cài đặt cơ bản và cài đặt thông số phát hiện. Các cài đặt cơ bản bao gồm thư mục làm việc, hệ tọa độ đích và hệ tọa độ đám mây điểm. Cài đặt thông số phát hiện bao gồm cài đặt danh mục và cài đặt mức điện áp. Sau khi các thông số được thiết lập, người dùng có thể bắt đầu chỉnh sửa cột truyền tải.
Sau khi chỉnh sửa các cột truyền tải, tệp sau đó có thể lưu. Bước tiếp theo là tạo tệp dữ liệu để tự động phân loại đường dây điện, cột truyền tải, cây cối và các đối tượng khác (nếu có). Để thực hiện việc này, kích hoạt công cụ Hồ sơ (Profile) để chọn một khu vực quan tâm và trong cửa sổ bật lên tiến hành chọn mục tiêu.

Hình 5. Chỉnh sửa cột dọc theo một đoạn hành lang
Hình 6. Kết quả phân loại trong LiDAR360
Các công cụ lựa chọn trong thanh công cụ Hồ sơ cho phép người dùng thiết lập mục tiêu trên đường dây và cột. Đối với các điểm trên mặt đất và các cây cối, người dùng có thể sử dụng công cụ Phân loại mặt đất (Classify Ground). Sau đó, người dùng có thể tạo tệp. Độ chính xác sẽ tiếp tục được cải thiện dựa trên sự phong phú của bộ dữ liệu.
Sau khi thu thập các mẫu, bước tiếp theo là cắt và phân loại dữ liệu đám mây điểm thành cột, đường dây điện, điểm mặt đất, tiếng ồn và dữ liệu chưa được phân loại. Ở đây người dùng có thể sử dụng các màu sắc khác nhau biểu thị các tính năng, ví dụ như màu xanh lam – cột, màu vàng - đường dây điện, màu đỏ - ngoại cảnh và màu xanh lá cây – cây cối ở độ cao trung bình.
Sau khi xử lý, dữ liệu Lidar sẽ được chia thành nhiều tệp riêng biệt, mỗi tệp đại diện cho đám mây điểm của một đoạn đường dây truyền tải. Từ đây, người dùng có thể kiểm tra thêm và tự sửa kết quả nếu có bất kỳ sai sót nào.

Hình 7. Tạo tệp mẫu cho máy

Bước cuối cùng là tự động phát hiện các điểm nguy hiểm và tạo báo cáo người dùng để xem xét và đánh giá cả các rủi ro hiện tại và mô phỏng các rủi ro sắp xảy ra. Từ đây, các nhân viên hiện trường có thể xử lý các khu vực nguy hiểm một cách hiệu quả hơn.
Các tham số (bao gồm các giá trị mặc định) bao gồm:
Phát hiện các điểm nguy hiểm theo ngưỡng “khoảng cách an toàn” do người dùng xác định. Bao gồm khoảng cách tối thiểu, khoảng cách an toàn.

Hình 8. Phát hiện các điểm nguy hiểm
Sự phát triển của cây: Phát hiện các điểm nguy hiểm do sự phát triển của cây. Bao gồm tốc độ phát triển hàng năm, tốc độ tăng trưởng (mét/năm) và tốc độ phát triển cho cả tre và bạch đàn.
Kết xuất hình ảnh: Hiển thị hình ảnh của cả chế độ xem phía trước và từ trên không, theo cả chiều rộng và chiều cao.
Tạo Báo cáo: Báo cáo và phân tích bao gồm các chi tiết như ID đường dây điện, điện áp, tọa độ đám mây điểm và tọa độ mục tiêu.
Cây đổ: Phát hiện vị trí khu vực nguy hiểm do cây đổ.
Đường dây vắt chéo nhau: Phát hiện các đường dây điện giao nhau bao gồm ngưỡng khoảng cách an toàn.
Nước: Phát hiện các vùng nước bao gồm khoảng cách an toàn, mật độ và diện tích.
Phân đoạn cây thông qua các ngưỡng khoảng cách, chiều cao so với mặt đất và kích thước vùng đệm để mở rộng vùng đệm xung quanh các điểm nguy hiểm theo cụm. Ở bên phải, mỗi màu đại diện cho một cây được phân đoạn riêng lẻ sau khi mô phỏng tốc độ tăng trưởng.

Hình 9. Phân đoạn cây riêng lẻ
Người dùng cũng có thể tạo các báo cáo mô phỏng đường dây điện bị chùng trong các điều kiện khắc nghiệt như gió mạnh, băng tuyết và nhiệt độ cao. Điều này sẽ cho phép người khảo sát nhận thức được các mối đe dọa trong tương lai và đáp ứng các điều kiện an toàn mà không có bất kỳ yếu tố nào không lường trước được.

Hình 10. Mô phỏng độ võng của dây, độ phủ của băng, gió, v.v.
Trên hành lang 2.500 km, quy trình làm việc này có thể phát hiện 40 điểm nguy hiểm. Phần lớn các điểm nguy hiểm là do cây cối mọc um tùm hoặc do đường dây tải điện quá chùng. Trong Hình 11, chúng ta có thể thấy điểm nguy hiểm về thảm thực vật giữa cột 48 và 49 là 6,76m, cao hơn 0,76m so với ngưỡng khoảng cách thẳng đứng. Các điều kiện mô phỏng trong tương lai cho phép phát hiện cả gió mạnh và nhiệt độ cao đang ảnh hưởng đến chức năng và cuối cùng làm giảm hiệu suất truyền tải. Tốc độ hoàn thành việc khảo sát và phân tích cũng là một điểm hấp dẫn đối với các công ty năng lượng.

Hình 11, 12 Trên đường dây có chứa điểm nguy hiểm
Quy trình làm việc của phần cứng và phần mềm tự thiết kế có thể vừa tăng hiệu quả vừa giảm chi phí về lâu dài. Mặc dù các phương pháp thu thập và xử lý dữ liệu đang được cải tiến liên tục, nhưng vẫn cố gắng tránh một số điểm không chính xác. Một trong những sự không chính xác như vậy gọi là “Đường dây ma”. Tức là nơi có nhiều dây truyền dẫn được phát hiện gần các cột truyền tải, chỉ cần quan sát thấy một dây. Nguyên nhân là do đường bay đặt quá gần với các cột khi thiết bị bay không người lái được đặt ở chế độ quay đầu.
Giải pháp nằm ở việc thiết bị bay không người lái bay dọc theo hành lang trong 50m vượt qua các cột muốn khảo sát. Một vấn đề khác là sự gián đoạn của các điểm dọc theo dây truyền dẫn. Vấn đề phổ biến này thường là kết quả của cáp mỏng, cáp có thể bị hư hỏng, khoảng cách hoặc điều kiện thời tiết bất lợi. Mật độ điểm (hoặc thiếu điểm) có thể do chính các kênh sẵn có của laser. Càng nhiều kênh tập trung tại dây truyền dẫn, mật độ điểm càng cao. Đó là lý do mà GVI gần đây đã phát hành LiAir HS40, bao gồm cảm biến LiDAR với 40 kênh thay vì 16 hoặc 32 kênh. Về mặt xử lý dữ liệu sau khảo sát, các cáp không liên tục có thể được số hóa để cải thiện hình dạng. Hơn nữa, công nghệ Machine learning đang chứng tỏ khả năng cực kỳ cao trong việc trích xuất thông tin có cấu trúc phức tạp và đã đạt được những kết quả đáng kể trong việc phân loại và mô hình hóa kết cấu. Trong tương lai, GVI sẽ tìm hiểu khả năng sử dụng công nghệ này để cải thiện hơn nữa độ chính xác và hiệu quả của việc kiểm tra đường dây điện.

Hình 13. Điểm gián đoạn gần cột
“Thường sẽ mất nửa năm để hoàn thành một dự án quy mô này. Việc sử dụng cả giải pháp phần cứng và phần mềm trên không cho phép chúng tôi thực hiện công việc ngay lập tức và hoàn thành cùng một dự án trong vòng chưa đầy hai tháng. ” - Wang Linsheng, Giám đốc Cục cung cấp điện Qingyuan.
Các phương pháp để khảo sát và phân tích đường dây điện có xu hướng hơi khác nhau tùy thuộc vào các yêu cầu đặt ra của mỗi quốc gia hoặc công ty dịch vụ năng lượng. Vì lý do này, mô-đun Power Line của LiDAR360 có thể tùy chỉnh theo quy trình làm việc của người dùng và đầu ra yêu cầu. Hiện tại, mô-đun có một số phiên bản do người dùng xác định cho phép thực hiện nhiều mô phỏng dự đoán, đánh giá rủi ro và báo cáo nội dung.
Công ty CP Công nghệ và Tư vấn CIC (Bộ xây dựng) là nhà phân phối của một số hãng cung cấp thiết bị LIDAR ứng dụng cho ngành điện như: GVI - Mỹ; Rockrobotic - Mỹ; Phoenix LiDAR – Mỹ
Mọi thông tin chi tiết xin liên hệ:
Trung tâm Giải pháp Phần mềm và Thiết bị Công nghệ
Hotline: 024-3974 1373